 |
★スーパーマーケット
バロー千音寺店 徒歩7分★
★解体更地渡し★
★市・名鉄バス「千音寺」停 徒歩13分★ |
| 1,500万円 |
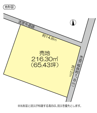
■名古屋市中川区千音寺一丁目 ◇googleMAPで場所を確認 ■市・名鉄バス「千音寺」停徒歩13分、市・名鉄バス「大治西條」停徒歩15分 ■土地:公簿216.30u(65.43坪) ■地目:田、宅地 ■都市計画:市街化区域 ■用途地域:第一種住居地域、第二種住居地域 ■建ぺい率:60% ■容積率:200% ■道路:東側幅員約1.8mの公道に約12m接道 ■設備:公営水道、都市ガス、浄化槽 ■現況:宅地 ■引渡:相談(解体工事完了後) ■取引態様:仲介
※坪22.9万円
※816番:田 51 u
817番:宅地165.30u
2筆合計 216.30u(65.43坪)
※農地法第5条届出要(手続き及び転用決済金は買主負担)
※古家あり:軽量鉄骨造2階建 昭和52年10月12日新築、 1階38.00u・2階28.00u
※確定測量渡し
※北側法定外道路あり
※赤星小学校区、はとり中学校区
※図面と現況が相違する場合は、現況を優先します |
|